Zawiadomienie Burmistrza Głowna

Zawiadomienie Burmistrza Głowna

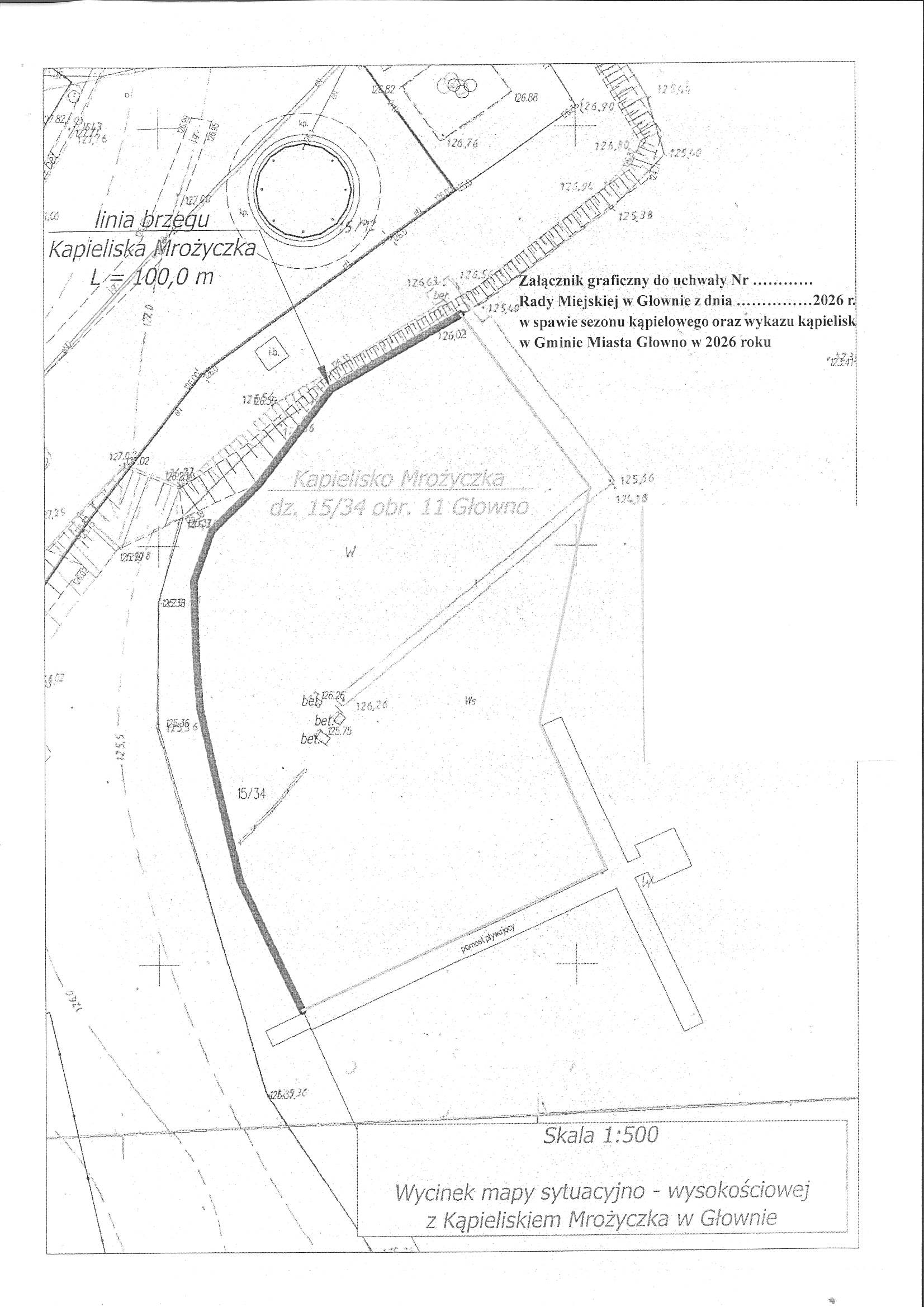
Zawiadomienie Burmistrza Głowna o wyłożeniu na okres 21 dni tj. od dnia 14 stycznia 2026 r. do 4 lutego 2026 r. do publicznej wiadomości projektu uchwały Rady Miejskiej w Głownie w sprawie sezonu kąpielowego oraz wykazu kąpielisk w Gminie Miasta Głowno na rok 2026.